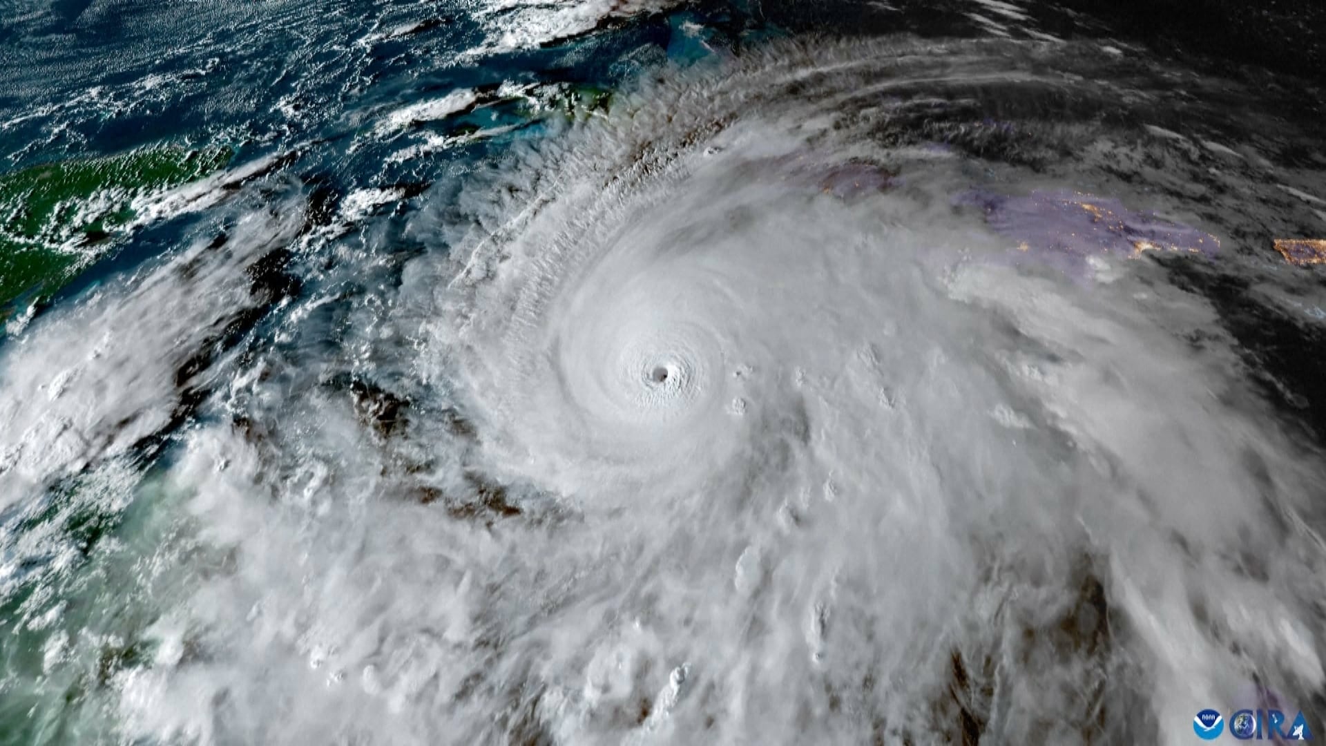
Katrina, Bhola e Coringa; veja lista de furacões mais mortais da história

Katrina, Bhola e Coringa; veja lista de furacões mais mortais da história
Foto: R7.com.

Avanço do aquecimento global e o aumento da temperatura dos oceanos têm contribuído para formar tempestades mais violentas, apotam especialistas.

Veja no R7.com.

Compartilhe
Conteudo Relacionado